Atriplex rosea L.

Common Name: ——-
Family: Amaranthaceae
Flowering Time: Jun-Oct
plants placeholder

General Appearance

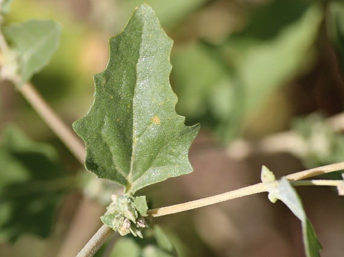
Atriplex rosea L., it is an annual, erect, 40-150 cm. Stem erect, branches ascending, smooth, generally ± glabrous. Leaf: blade 10-60 mm, 4-30 mm wide, ovate to lanceolate, firm, coarsely wavy-dentate, distally entire, densely fine-scaly abaxially, ± green adaxially, base tapered; persistent; Kranz. Pistillate Inflorescence: bracts in fruit sessile to short-stalked, 4-8 mm, fused proximally, diamond-shaped to deltate, hard, dentate, tubercled (smooth). Seed: 2-2.5 mm, brown or black.

Life Form

Th

Phytochoria

MED+IT. The native range of this species is Europe to Medit. and Central Asia.

Distribution in Libya

Al-Jafarah Plain:

Tripoli 1919, 1930  Coastal of Tripoli 2020

Benghazi Plain:

Reported from Benghazi by Maeir

Cyrenaica:

Reported from Cyrenaica by Durand & Barratte

Notes

Wild in Libya.

First: Encyclopedia Flora of Libyan:

Jafri, S. M. H. & El-Gadi, A. (1978) Flora of Libya, Chenopodiaceae Vol. (58) Department of Botany, Al-Faateh Univ., Tripoli, Libya.

Second: Researches and PhD theses, master theses , Sorted by Newest:

Mahklouf, M.H. (2020) Biodiversity of the coastal flora of Tripoli Province. Biodiv. Res. Conserv. 58: 13-19, 2020. BRC http://www.brc.amu.edu.pl,  http://brc.amu.edu.pl/pdf-127341-54763?filename=Biodiversity%20of%20the.pdfhttp://brc.amu.edu.pl/Issue-58-2020,9131

Leave a Reply

Your email address will not be published. Required fields are marked *